Publication
18. Myrmecophily in focus: taxonomy and systematics of Termitoquedius Bernhauer (Coleoptera: Staphylinidae: Staphylininae: Staphylinini) with descriptions of two new species

Authors: Rodríguez-Melgarejo, M.E.; Marvaldi, A.E. & Chani-Posse, M.R.
Journal: Zootaxa, 5750(3), 400–414.
Date:
Highlights
Abstract
Introduction
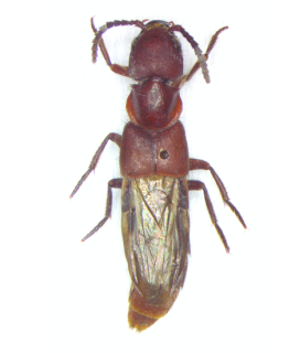
The genus Termitoquedius Bernhauer, 1912 (Staphylininae: Staphylinini) comprises myrmecophilous rove beetles with a Neotropical distribution. Until recently, it included only two species from Brazil recorded in association with army ants of the genus Eciton Latreille, 1804.
Recent phylogenetic analyses have assessed its systematic placement, initially recovering the genus as incertae sedis within Staphylinini and later placing it within the Neotropical lineage of the subtribe Philonthina (Staphylinini).
Results
Based on this phylogenetic evidence, Termitoquedius is formally transferred to Philonthina, providing new insights into the evolutionary history of myrmecophily within the subtribe. Additionally, a lectotype is designated for its type species, Termitoquedius iheringi Bernhauer, 1912. Two new species are described: Termitoquedius ecitonis sp. nov. from Peru and Termitoquedius andinus sp. nov. from Bolivia. These, along with additional records from Colombia and Ecuador, represent the first records of the genus for these four countries. A taxonomic key, diagnostic characters, descriptions or redescriptions, illustrations, and a distributional map are also provided for all Termitoquedius species treated herein.